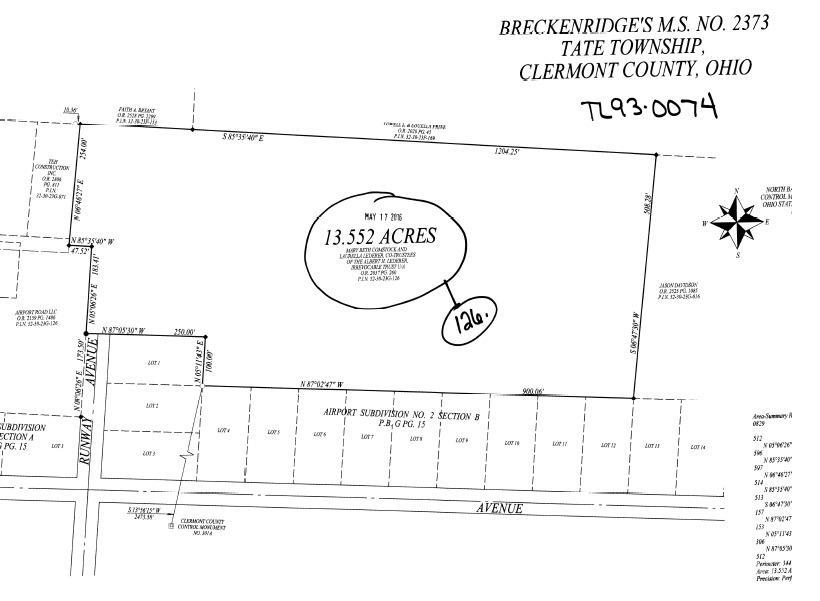
2698 Runway AvenueTate Twp, OH 45106




Mortgage Calculator
Monthly Payment (Est.)
$570Perfectly located 13.55-acre level parcel, around the corner from Bethel-Tate High School and just a few miles from popular East Fork State Park. Property has utilities at Inez, and there is an utility easement off of Airport. Whether you're looking to develop new-build residential lots, build a sprawling estate, farm the land, market the timber, forage for wild mushrooms, frolic on your own private playground, or explore commercial/multi-unit zoning possibilities, this opportunity offers exceptional flexibility and investment value. Parcel does not have a recorded street address -- 2698 Runway address is not official and is used only for mapping. Schedule appointment to tour, park on Runway, and access parcel from end of street.
| 2 weeks ago | Listing updated with changes from the MLS® | |
| 2 weeks ago | Status changed to Pending | |
| 10 months ago | Listing first seen on site |
Listing information is provided by Participants of the Cincy MLS. IDX information is provided exclusively for personal, non-commercial use, and may not be used for any purpose other than to identify prospective properties consumers may be interested in purchasing. Information is deemed reliable but not guaranteed. Copyright 2026, Cincy MLS.
Last checked: 2026-01-23 03:41 AM UTC
Did you know? You can invite friends and family to your search. They can join your search, rate and discuss listings with you.